Citrusbockkäfer
Herkunft und Verbreitungsgebiet
Der Citrusbockkäfer (oft abgekürzt mit CLB von der englischen Bezeichnung citrus longhorn/ long-horned beetle) ist ursprünglich in Ostasien beheimatet, u.a. China, Korea, Japan, Indonesien, Taiwan, Vietnam, Malaysia und den Philippinen. In verschiedenen anderen Ländern wurden einzelne Individuen nachgewiesen, konnten jedoch wie in den USA, den Niederlanden, Deutschland, Dänemark, Großbritannien, Frankreich und der Schweiz wieder erfolgreich bekämpft und an einer Ausbreitung gehindert werden. Aktuell (Stand 2024) gibt es noch aktive Vorkommen in Italien, Kroatien und der Türkei.
Verbreitungswege
Als einer der Hauptverbreitungswege wird der Import von lebendem Pflanzenmaterial mit einem Stamm- oder Wurzelhalsdurchmesser von > 1 cm vermutet, einschließlich Bonsai. Von Orten, die solches Material anpflanzen, züchten und kommerziell vertreiben geht entsprechend das höchste Risiko einer Einschleppung und Verbreitung aus.
Wirtspflanzen
Der Citrusbockkäfer hat ein breites Wirtsspektrum, welches nahezu alle in Deutschland heimischen Laubbaumarten sowie einzelne Sträucher umfasst. Europaweit scheint der CLB jedoch Arten von Ahorn, Birke und Haselnuss besonders zu bevorzugen.
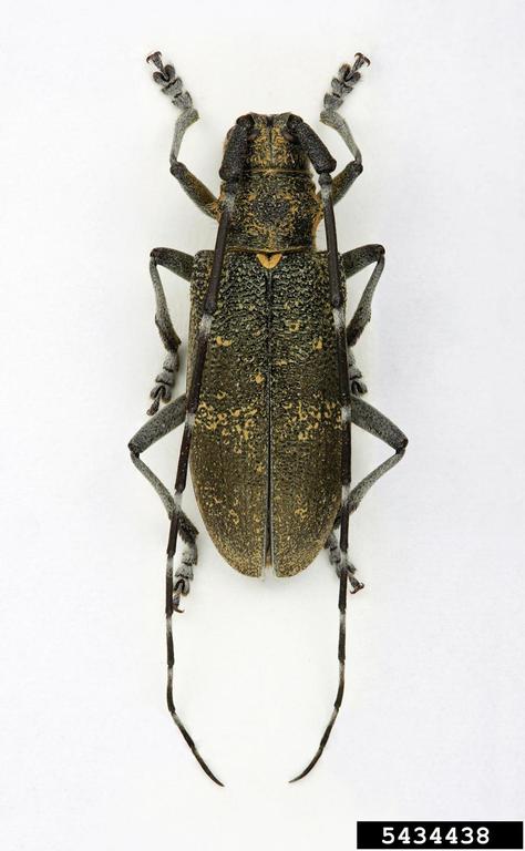
Morphologie (Aussehen)
Die Eier des Citrusbocks sind etwa 6 mm lang, länglich, zunächst weiß und verfärben sich im Laufe der Entwicklung zu gelblich-braun.
Die Larven sind im ausgewachsenen Zustand bis zu 56 mm lang und 10 mm breit. Der Körper ist länglich, zylindrisch, cremefarben und beinlos. Das erste Brustsegment hat einen braunen, verhärteten Nackenschild mit zwei typischen Zinnenrändern, wobei das zweite Band nur mehr oder weniger deutlich zu erkennen ist. In Richtung des Hinterleibs wird die Larve schmaler und blass gelblich-weiß.
Die Puppen sind hellgelb und 24 – 35 mm lang. Männchen sind in der Regel kleiner als die Weibchen. Wie für Bockkäferlarven typisch, sind die langen Fühler bauchseitig in Form einer Spirale zusammengerollt.
Die Käfer sind 20 – 37 mm groß. Männchen sind meist etwas kleiner als die Weibchen. Die Flügeldecken sind schwarz, glänzend und weisen in der Regel 10-20 weiß bis gelbliche, unregelmäßige Flecken auf. Das vordere Fünftel der Flügeldecken ist deutlich gekörnt. Am Halsschild befinden sich seitlich zwei spitze Dornen. Die Fühler der Käfer sind abwechselnd schwarz und hellblau-grau geringelt, wobei die Fühler der Männchen 1,7-2 mal so lang wie der Körper sind und die Fühler der Weibchen 1,2 mal.
Lebensweise und Entwicklung
Der Lebenszyklus des Käfers beträgt sowohl in seinem Ursprungsgebiet als auch in Südeuropa ein bis zwei Jahre und ähnelt dem des Asiatische Laubholzbockkäfers (ALB). Unter gemäßigten Klimabedingungen kann mit einem Lebenszyklus von mindestens drei Jahren gerechnet werden.
Die Eiablage erfolgt vornehmlich an der Stammbasis oder oberirdischen Wurzeln, so dass die Larven im Gegensatz zum ALB im oberen Teil des Stammes und den Kronenästen eher selten vorzufinden sind. In den ersten Wochen nach der Eiablage ist Saftaustritt aus den frisch von den Weibchen in Bodennähe angelegten, T-förmigen Ablagestellen möglich.
Etwa drei Wochen nach der Eiablage schlüpfen die Junglarven, die unterhalb der Rinde zu fressen beginnen. Nachfolgende Larvenstadien bohren sich tief in den Holzkörper und wandern dabei in Richtung der Wurzeln. Im Spätfrühling–Sommer verpuppen sich die Larven in einer Kammer. Bemerkenswert ist, dass 90 % der Citrusbock-Population unter der Erdoberfläche zu finden sind.
Die erwachsenen Tiere schlüpfen zwischen April–Mai und August (manchmal auch später). Die kreisrunden Ausbohrlöcher an oberflächennahen Wurzeln, Wurzelanläufen und dem Stammfuß haben einen Durchmesser von 10–15 mm. Der anschließende Reifungsfraß erstreckt sich über einen Zeitraum von 10–15 Tagen und verursacht Schaden an jungen Zweigen (Borke) und Blättern (Blattadern). Ab Mai bis August erfolgt dann die Paarung.
Die Ausbreitung der Käfer findet meist in einem geringen Umkreis (weniger 50 m) um den Brutbaum statt, da aufgrund des breiten Wirtsspektrums kein Erfordernis besteht, über weite Strecken zu fliegen.
Biologische und wirtschaftliche Problematik
Der Citrusbockkäfer hat ein aufgrund der klimatischen Bedingungen hohes Etablierungspotenzial in Europa (ausgenommen Nordschweden und dem Norden Großbritanniens). Besonders große Schäden kann die Art in Citrusplantagen verursachen, weshalb das monetäre Risiko in Ländern, die diese Früchte anbauen entsprechend hoch ist. Bisherige Funde beschränken sich jedoch auf urbane Gebiete, weshalb vermutet wird, das andere Standorte, wie zum Beispiel Wälder oder Agrarflächen weniger attraktive Lebensräume bieten. Nichtsdestotrotz sollten Wälder auch weiterhin im Blickfeld bleiben, da diese bei einer stärkeren Verbreitung des Citrusbocks als Lebensraum nicht generell ausgeschlossen werden können.





















